Działka Dzbądzek JEZIORO RZEKA Narew

Dzbądzek gm. Goworowo
Ogłoszenie archiwalne Wygasło: Wtorek, 30 Wrzesień, 2025  14:23
79 900 zł

Szczegóły ogłoszenia

  • Kategoria: Działki i grunty / Sprzedaż
  • Sprzedaż:Pośrednik

Opis oferty

Oferta dodana za pomocą Multiportalu BeBroker

OSTATNIE już DZIAŁKI BUDOWLANE w otulinie lasu NA SPRZEDAŻ !

Przepiękne unikatowe miejsce otoczone z 4 stron lasem !!!

Oglądanie tej działki na potrzeby zakupu to jak "miłość od pierwszego wejrzenia".

Las, rzeka, jeziora, cisza i spokój w małej malowniczej miejscowości turystycznej.

Działki oddalone zaledwie 400 m od starorzecza rzeki Narew.

Miejscowość Dzbądzek, gmina Goworowo, powiat Ostrołęka.

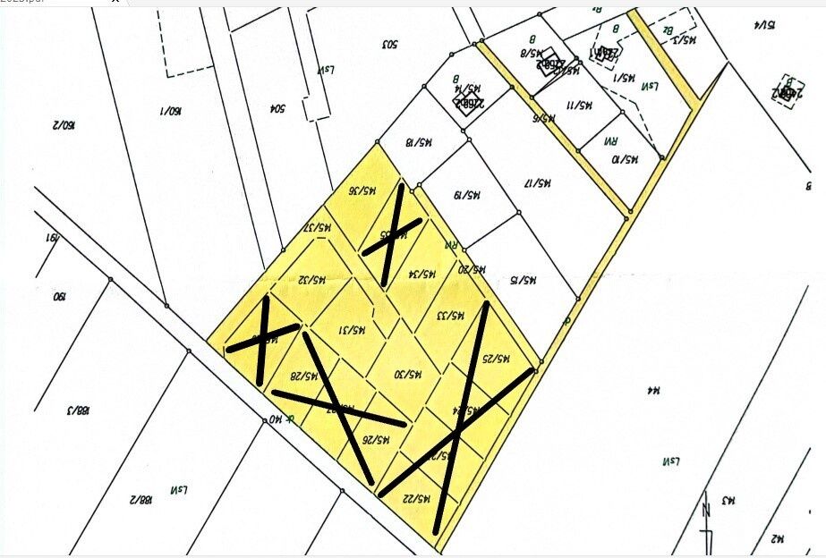
Przedmiotem ogłoszenia są TYLKO działki w kolorze żółtym.

Działki przekreślone krzyżykiem są już sprzedane.

Woda i prąd w ulicy przy działce.

Działka 1000m2

Cena 79.900 złotych.

Pełna faktura VAT 23% - dzięki temu kupujący zwolniony z podatku PCC 2%.

Pośrednikom dziękuję.

Telefon: 512 - pokaż numer telefonu -
Sprawdź zainteresowanie tym ogłoszeniem
Wyświetlenia
Data dodania
Ostatnio widziany
Obserwujących
Wysłane zapytania
Odsłony telefonu

To ogłoszenie jest archiwalne i może być nieaktualne.

Wyślij wiadomość

Wyślij wiadomość

Konto firmowe
Na Lento.pl od 14 lis 2019
Strona użytkownika
  • Wypromuj
  • Zgłoś naruszenie
  • Drukuj ulotkę
  • Edytuj/usuń
Wyczyść historię

Udostępnij ogłoszenie

Udostępnij na FacebookUdostępnij na X Kopiuj link do ogłoszenia

Dodaj notatkę

Opis musi być krótszy niż 250 znaków